●
●
●
●
●
● |
Digitalisierung vorhandener Bestandsplanunterlagen:
Die vorhandenen Bestandsunterlagen werden gescannt und entzerrt / transformiert, das heißt, mit der digitalen Katasterkarte im CAD-System zur Deckung gebracht.
Durch diese Vorgehensweise wird eine hohe Genauigkeit der Digitalisierung in Bezug zur Katasterkarte gewährleistet.
Verknüpfung der einzelnen Leitungsabschnitte mit einer Datenbank.
Erstellung aktueller Bestandspläne
CAD-Planerstellung
|

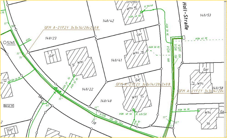
Planausschnitt eines Gas-Bestandsplans (zum Vergrössern bitte Plan anklicken) |